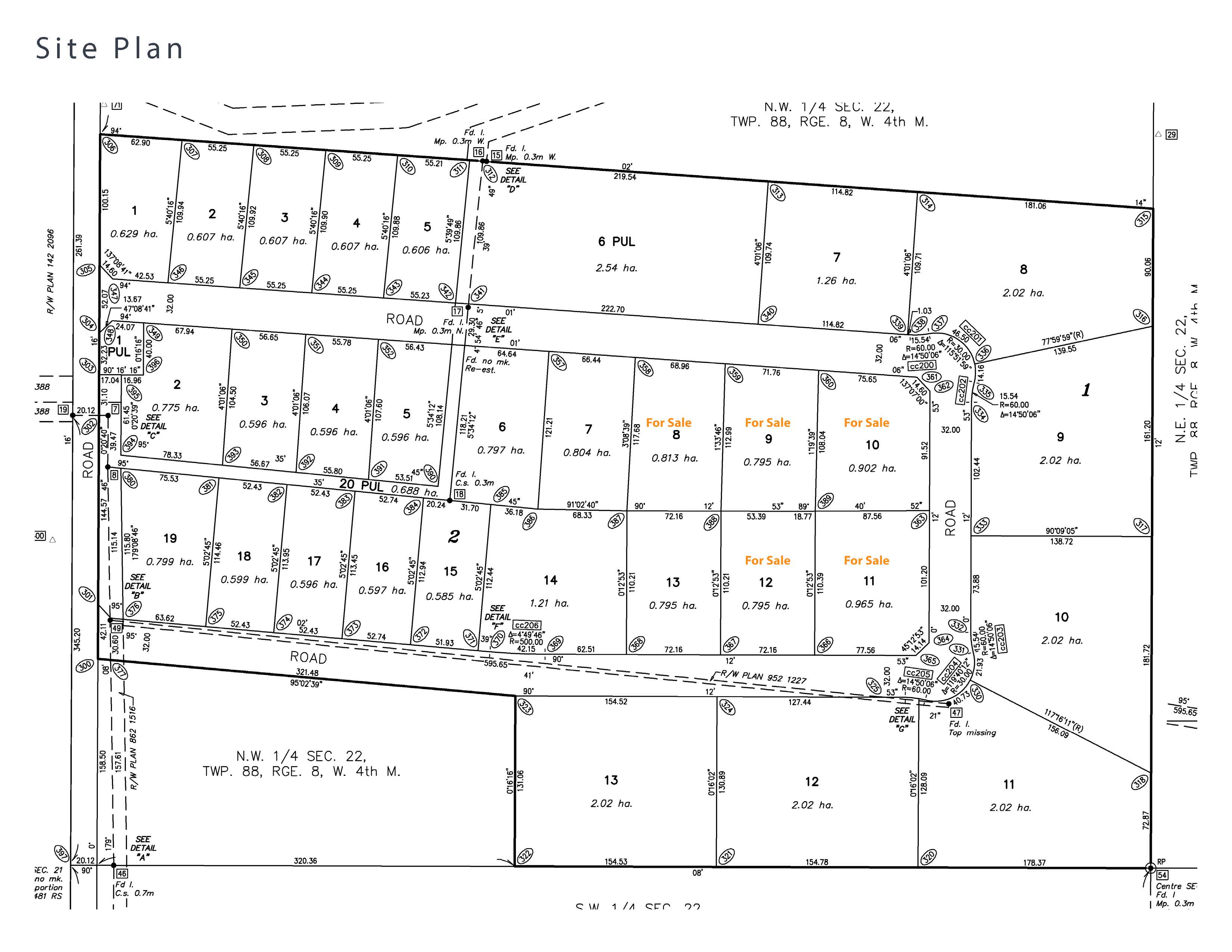
L Roberts Industrial Park (10.5 acres)

1_LRoberts-Industrial-Par-Brochure_Page_4

Image 4 of 5

Near Ft. McMurray Airport

Total of 10.5 acres available for Build to Suit in lots of 2 to 8 acres

Turnkey Buildings

Several opportunities are available.

1) Build to Suit Opportunity

  • 8,000 – 20,000 SF on a 2.01 acre site
  • One/two-tenant industrial building
  • Ample yard area

2) Land Sale Opportunity — 2 acres

  • 2 acre lot serviced
  • Paved roads and street lighting
  • Business Industrial zoning
  • Close to Airport
  • 10 minutes to Fort McMurray Central Downtown
  • Ready for development
  • The only industrial land currently ready for development in Fort McMurray

3) Land Sale Opportunity — 4.19 acres

  • Inside lots on corner with access from two streets
  • Paved roads and street lighting
  • Business Industrial zoning
  • Close to Airport
  • 10 minutes to Fort McMurray Central Downtown
  • Ready for development
  • The only industrial land currently ready for development in Fort McMurray
 
Skills

Posted on

May 5, 2014